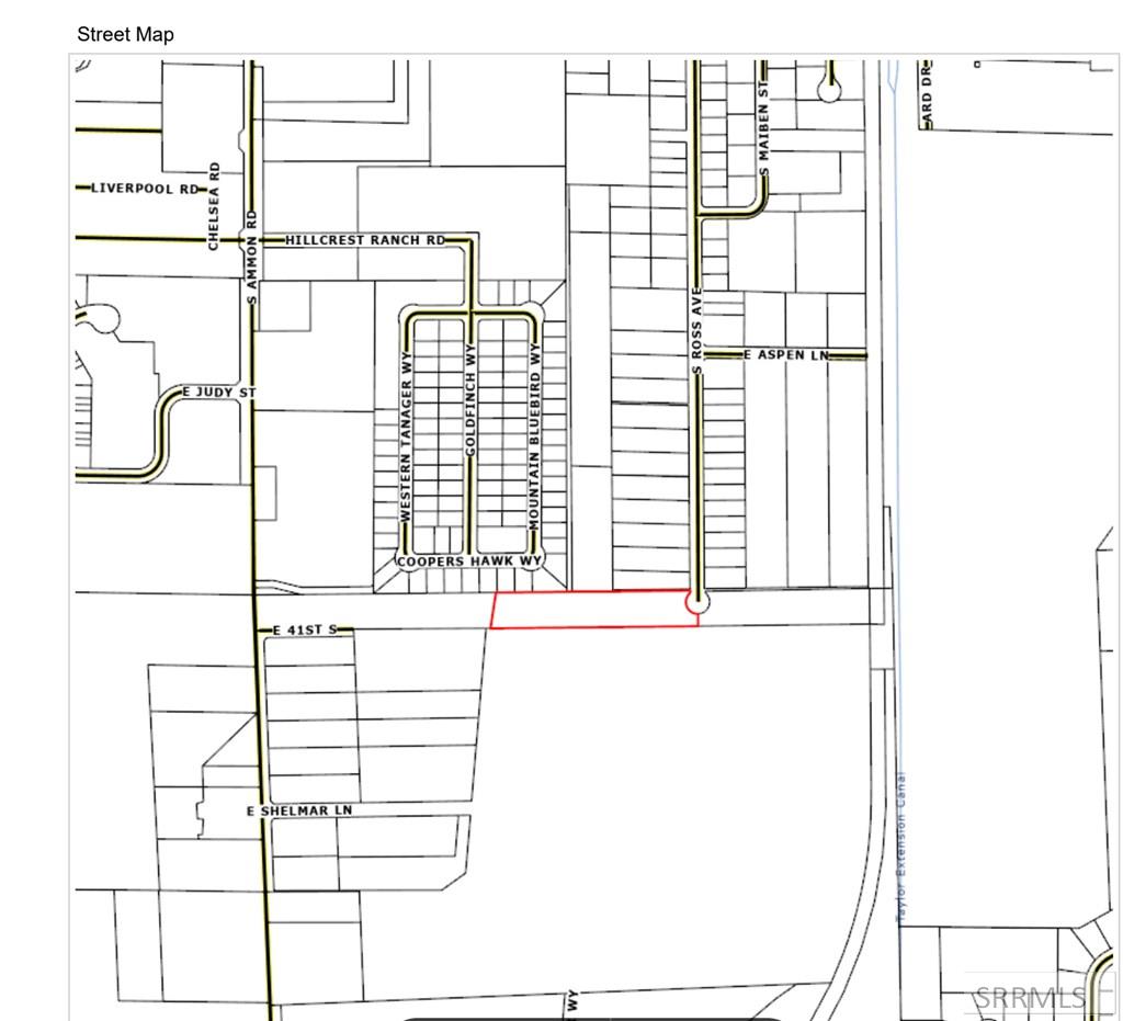
4130 Ross AvenueAMMON, ID 83401




Mortgage Calculator
Monthly Payment (Est.)
$1,072Great development opportunity in Ammon with nearly 3 acres. -Welcome to 4130 Ross Ave, Ammon, ID, a 2.87-acre bare land parcel offering flexibility, location, and long-term upside. Per Planning & Zoning guidance, the property may support development of up to 6 lots with build rights, manufactured included on permanent foundation, subject to city approval and submission of an engineered plat and infrastructure plans. Final lot count, layout, and requirements will be determined through the city's formal review process. Buyer to verify all development possibilities. This property is ideal for investors, developers, or buyers seeking acreage close to town. Even if you don?t plan to subdivide, this lot offers acreage in a prime Ammon location, just minutes from shopping, restaurants, mall, movie theater, schools, and easy access to the mountains and outdoor recreation. This property presents great value today with future opportunity in a growing area. Drive by today and give us a call! RPB28900010.
| 2 days ago | Listing updated with changes from the MLS® | |
| a month ago | Price changed to $235,000 | |
| 2 months ago | Listing first seen on site |
Listing information is provided by Participants of the Snake River Regional MLS. IDX information is provided exclusively for personal, non-commercial use, and may not be used for any purpose other than to identify prospective properties consumers may be interested in purchasing. Information is deemed reliable but not guaranteed. Copyright 2026, Snake River Regional MLS.
Data last updated at: 2026-02-23 07:26 AM UTC

Did you know? You can invite friends and family to your search. They can join your search, rate and discuss listings with you.